Te koop Residential Plot Costa Del Sol Mijas € 2.200.000,-
An exceptional and rare opportunity to invest in three plots in Mijas, in the Los Naranjos area of Mijas Pueblo, with projects to construct up to 53 apartments and townhouses.
Consisting of three plots totalling 9,567 m², all with some of the the most spectacular panoramic sea and coastal views that the Costa del Sol has to offer.
Plots location:
Mijas Pueblo, just 2 minutes away; renowned for its Andalusian charm, cultural heritage, and excellent amenities.
Málaga International Airport: only 20 minutes away.
Beaches of Mijas Costa; only 15 minutes away.
A choice of golf courses within 15 minutes.
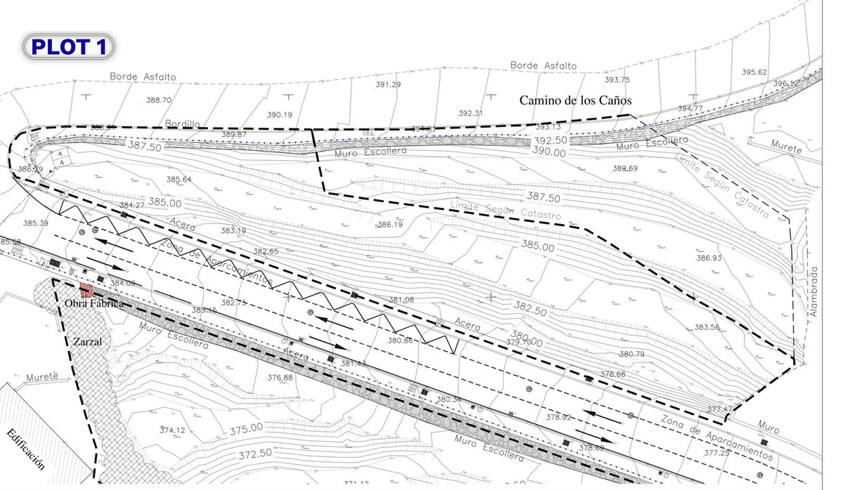
Plot 1:
Total area: 1,865 m²
Buildable area: 1,750 m²
Plot 2:
Total area: 1,744 m²
Buildable area: 1,684 m²
Plot 3:
Total area: 5,958 m²
Buildable area: 2,800 m²
With a prime location and spectacular views, this is a rare opportunity to construct a modern and profitable residential development to meet the ever-growing demand for homes in Mijas Pueblo on the Costa del Sol.
meer info